Będzie przeprowadzka PUP?
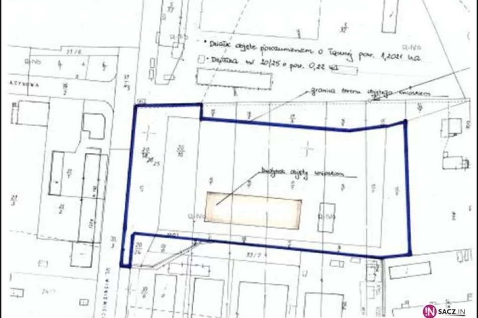
Nowy Sącz. Trwają rozmowy w sprawie przekazania powiatowi przez wojewodę małopolskiego budynków i działki Wojewódzkiego Inspektoratu Obrony Cywilnej przy ulicy Wiśniowieckiego. Jeśli ich przebieg będzie pomyślny, zostaną one przeznaczone między innymi na nową siedzibę Powiatowego Urzędu Pracy.